Стена митрополичьего двора
Каргер М.К.
1. Археологические раскопки 1948 и 1950 гг.
В начале сентября 1948 г. при прокладке на территории Софийского архитектурно-исторического заповедника труб газопровода, в траншее, прорезавшей юго-восточную часть территории заповедника в направлении с северо-востока на юго-запад, были обнаружены в двух местах мощные фундаменты, сложенные из булыг и крупных блоков песчаника на растворе извести с примесью мелкотолченой цемянки. [с. 206]
Первый фундамент был раскрыт в траншее газопровода на расстоянии 42 м к югу от юго-западного угла Софийского собора, на территории сада Академии архитектуры УССР. Он представлял отлично сохранившуюся каменную бутовую кладку, лежавшую на глубине 0.45 м от уровня современной дневной поверхности. Глубина заложения фундамента не прослеживалась, так как дно траншеи, пересекавшей фундамент, было выше подошвы фундамента. Верхняя часть кладки была повреждена землекопами, рывшими траншею, но незначительно, так как работа по пробивке траншеи сквозь кладку была вскоре приостановлена. Ширина открытого фундамента точно не прослеживалась, так как траншея газопровода пересекала фундамент не перпендикулярно и установить точное направление его в узкой траншее было затруднительно.
Второй фундамент был пересечен траншеей газопровода, проложенной параллельно южному фасаду собора, на расстоянии 26.5 м от юго-восточного угла собора. Траншея пересекала фундамент также под углом. Поверхность фундамента не была повреждена, так как пробивка траншеи через кладку была своевременно предотвращена.
Президиум Академии архитектуры УССР вынес решение произвести археологическое исследование открывшихся фундаментов, предложив проведение этой работы Киевской археологической экспедиции Академии Наук СССР под руководством автора. Работы были произведены с 6 по 26 сентября 1948 г.
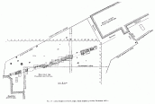
Раскопками на первом участке был вскрыт фундамент мощной крепостной стены, прослеженный на протяжении более 77 м. Фундамент тянется от восточного угла главного здания академии (бывш. Митрополичий дом) к зданию институтов академии, проходя параллельно южному фасаду последнего (рис. 77). Верхняя часть кладки обнаруживалась на различной глубине. Местами она была перекрыта только незначительным слоем гумуса (от 0.5 до 0.75 м), на других участках опускалась на глубину до 1.5-2.5 м. Вскрытое раскопками сооружение на всех участках представляет бутовую кладку фундамента (табл. XL, 2); только в одном месте, у второй (с востока) лопатки, на поверхности фундамента сохранились отпечатки квадратных кирпичей в растворе и один кирпич in situ. Размер и керамические качества кирпича позволяют отнести постройку к XI в.
Ширина фундамента 1.4-1.6 м, глубина заложения 1.20 м. По обеим сторонам фундамента через каждые 6-6.2 м, выступают мощные лопатки (на вскрытых частях стены обнаружено четыре пары лопаток). Ширина лопатки 1.2 – 1.6 м. Лопатки выступают от плоскости стены на 0.2-0.4 м.
К западу от траншеи фундамент был вскрыт на протяжении 34 м, хотя местами по техническим причинам (забор, деревья) раскапывался не полностью. Не доходя около 4 м до восточного угла главного здания академии, фундамент обрывается по прямой линии, перпендикулярной к направлению стены. Обрыв этот не является результатом позднейшего разрушения – сооружение либо заканчивалось, либо имело перерыв. [с. 207]
Несколько дальше, почти у самого угла здания академии, была открыта глинобитная печь с полусферическим сводом, типичная для киевских жилищ домонгольского периода. Свод печи находился несколько ниже уровня подошвы фундамента, однако никаких оснований для заключения, что печь древнее стены, нет. Она сооружена в углубленной, полуземляночного типа постройке, раскрыть которую не удалось ввиду непосредственной близости фундаментов здания академии.
К востоку от траншеи газопровода раскрытию фундамента препятствовали три дерева, вследствие чего раскоп был заложен отступя 5 м. В этом раскопе было вскрыто продолжение того же фундамента с хорошо сохранившейся па[с. 208]рой лопаток у западного конца (табл. XL, 2; рис. 77). В восточном конце кладка фундамента выбита до подошвы при постройке в XIX в. бетонированного коллектора. Эта часть фундамента была вскрыта под поздней глубокой мусорной ямой.
В поисках продолжений стены на расстоянии 30 м к востоку от раскопа, у южного фасада здания институтов академии, был заложен шурф (2:4 м), в северной части которого удалось обнаружить незначительные остатки нижней части того же фундамента. Бутовая кладка фундамента здесь была почти полностью выбрана. Лишь у подошвы фундамента сохранились остатки кладки и раствор. Хорошо прослеживалось направление фундаментного рва, вырытого в материковом лёссе (рис. 77).
Вместе с этим отрезком фундамент имеет общее протяжение 77.5 м. Направление стены на описанном отрезке обнаруживает ясно выраженное отклонение к северу, что свидетельствует, если не о повороте стены, то во всяком случае о ее закруглении. Противоположный западный отрезок фундамента также имеет некоторое отклонение к северу, начиная с четвертой пары лопаток. В целом линия фундамента образует очень слабо выгнутую дугу.
Следует обратить внимание на то, что в траншее газопровода, прорезавшей территорию сада на большом расстоянии от обнаруженного фундамента, нигде не было установлено никаких признаков других линий фундамента, параллельных описанной выше. Этот факт уже на первых этапах исследования исключал возможность видеть в открытой стене часть какого-либо церковного или гражданского здания. Большая протяженность стены и ее дугообразный изгиб окончательно убеждали в том же.
В траншее газопровода, проложенной параллельно южному фасаду Софийского собора, на расстоянии 26.5 м от юго-восточного угла собора обнаружен второй древний фундамент, продолжавшийся в обе стенки траншеи, т.е. в направлении на колокольню и на северо-восточный угол так называемой Теплой Софии. [с. 209]
|
|
|
| Рис. 78-1. Фундамент стены Митрополичьего двора. Общий вид второго участка. [с. 208] | Рис. 78-2. Фундамент стены Митрополичьего двора. План второго участка. Раскопки 1948 г. [с. 209] |
В обе стороны от траншеи раскопками вскрыт фундамент общим протяжением 21.3 м (рис. 78, 2). В обе стороны фундамент продолжается и дальше, в одном направлении он уходит под здание Теплой Софии, в другом – под софийскую колокольню.
Как и фундамент, описанный выше, второй фундамент представляет бутовую кладку на розоватом растворе извести с цемянкой (рис. 78, 1). В конструктивном отношении второй фундамент имеет некоторые отличия: ширина его меньше (1.1-1.4 м), по глубине заложения он также значительно уступает первому (0.5 м).
На открытом отрезке фундамента обнаружены три пары лопаток. По ширине (1.3-1.5 м) лопатки близки к лопаткам первого фундамента, но они несколько больше выступают от линии стены (0.70 м). Однако, несмотря на эти отличия> общность этих двух фундаментов подчеркивается почти одинаковым расстоянием между лопатками, что позволяет рассматривать их как части единого сооружения.
Для окончательного выяснения вопроса о связи этих двух отрезков стены между собой и о назначении всего сооружения в целом необходимо было продолжение поисков остатков этой постройки на территории заповедника.
Эта задача и была поставлена в качестве основной в плане археологического исследования территории заповедника на 1950 г. Раскопками этого года предстояло прежде всего вскрыть продолжение трассы стены, обнаруженной в 1948 г. за зданием институтов академии. Раскоп, заложенный почти вплотную к раскопу 1948 г. (к юго-востоку от него), однако, вызвал большое разочарование. Весь участок оказался перерытым на большую глубину поздними ямами, и никаких следов древней стены, за исключением незначительных обломков древнего раствора и бутового камня, здесь обнаружить не удалось. Расширение раскопа к юго-востоку также не дало никаких результатов. Древние слои на узком участке между двумя домами оказались полностью уничтоженными на всю глубину. Неудача эта особенно усугублялась тем, что здесь можно было ожидать поворот стены.
Раскопки были перенесены на участок, расположенный у юго-западного угла трапезной церкви (Теплой Софии). Несколько южнее этого участка траншея газопровода, проложенная поздней осенью 1949 г. вдоль асфальтированной дороги, пересекла какой-то древний фундамент, напоминавший по своему характеру фундаменты, раскопанные в 1948 г. Разведочной траншеей, заложенной параллельно западной стене церкви, в первый же день раскопок была обнаружена отлично сохранившаяся кладка, представляющая продолжение фундамента, вскрытого раскопками 1948 г, к северу от северо-восточного угла той же церкви. Последующими раскопками фундамент был вскрыт полностью на участке, доступном для исследования, протяжением 8.5 м (рис. 79). В южном направлении фундамент продолжается под асфальтированную мостовую, где он не мог быть вскрыт, в северном – на расстоянии около 4 м от западного [с. 210] фасада церкви – уничтожен какими-то поздними кирпичными сооружениями, примыкавшими к церкви.
Фундамент, сложенный из блоков песчаника и валунов на растворе извести с цемянкой, имеет ширину 1.6 м. Глубина заложения от современной дневной поверхности 1.0-1.2 м, от древней 0.8 м. На уровне древней дневной поверхности фундамент несколько расширяется, образуя с обеих сторон небольшие выступы, предохранявшие кладку фундамента от размывания (табл. XLI, 1, 2). Поверхность (верхняя) этих выступов покрыта заглаженным раствором. В средней части фундамента выше уровня заглаженной поверхности сохранилась на небольшую высоту кладка самой стены, имеющей ширину 1.1-1.2 м. В кладке стены и выступов фундамента местами виден кирпич, по размерам и керамическим качествам близкий к кирпичам XI в.
Расширение раскопа в восточном направлении, несмотря на незначительность площади, доступной для исследования, дало интереснейшую картину городской территории. Непосредственно к стене примыкали развалины раз[с. 211] личных жилых и хозяйственных построек, сопровождавшихся большим количеством разнообразного инвентаря – керамики, изделий из стекла, железа, бронзы и пр.
В небольшом раскопе, заложенном к северу от северной стены колокольни на глубине 2.25 м, удалось обнаружить нижнюю часть кладки еще одного отрезка фундамента стены (рис. 80), являющегося непосредственным продолжением стены, вскрытой в 1948 г. между Теплой Софией и колокольней. Фундамент продолжался в обе стороны, но по техническим условиям не мог быть раскрыт полностью. По-видимому, продолжение этого же фундамента было обнаружено в 1948 г. в траншее газопровода, проложенной на площади Б.Хмельницкого параллельно стене софийской ограды, в 7 м от нее.
Таким образом, если соединить четыре отрезка стены, обнаруженные раскопками 1948-1950 гг., расположенные на прямой линии, почти по оси север-юг, общее протяжение этой части стены достигает около 136 м. Если учесть что раскопками 1948 г. стена, расположенная почти перпендикулярно к вышеописанной, была вскрыта на протяжении 77.5 м, общая протяженность вскрытой раскопками стены достигает в настоящее время уже 213.5 м. Несмотря на столь значительные размеры открытой раскопками 1948 и 1950 гг. части мощного сооружения древнейшей поры, до последнего времени остававшегося совершенно неизвестным для историков древнего Киева, нужно признать, что и в настоящее время обнаружена, по-видимому, лишь незначительная его часть, не позволяющая даже гипотетически восстановить его план полностью, хотя бы в основных чертах (рис. 81).
Попытка обнаружить северную часть этого сооружения во дворе дома № 4 по Рыльскому переулку, примыкающему к территории заповедника с севера, не увенчалась успехом. Раскопками разведочного характера, проведенными в 1950 г. в южной части этого двора, был обнаружен глубокий овраг (глубина его достигала 6 м от уровня современной поверхности), засыпанный при планировке местности в XVIII в. Монеты и другие предметы этого времени были найдены в самых нижних слоях засыпки оврага. На такую же глубину лежит мощный пласт древнего строительного мусора, свезенного в конце XVII или в XVIII в. для засыпки оврага в северном углу территории софийского двора, как показали наши раскопки на этом участке в 1946 г.
По-видимому, поиски северной линии стены нужно направить значительно далее к северу.
Большой интерес представляют поиски трассы стены, прервавшейся перед главным зданием академии, на участке к западу от последнего (территория хозяйственного двора академии), где очень вероятна возможность обнаружить продолжение линии стены. Утверждение С.Я.Грабовского и Ю.С.Асеева о том, что открытая в 1948 г. стена была известна еще в 1911 г. по раскопкам Д.В.Милеева [C.Я.Грабовський, Ю.С.Асеєв. Дослідження Софії Київської, стр. 45], требует серьезной археологической проверки. Стена, показанная на [с. 212] чертеже Д.В.Милеева, к востоку от раскопанного им в 1909 г. храма, не определена им в хронологическом отношении. Судя по тому, что она не упомянута в отчетной публикации исследователя, едва ли она относилась к числу древних сооружений.
В настоящее время нет возможности даже гадательно определить местоположение западной границы территории, огражденной в древности стеной.
2. Стена митрополичьего двора в Киеве и укрепления епископских дворов в древнерусских городах (XI – XV вв.)
Несмотря на незавершенность исследования, вновь открытый памятник киевского зодчества XI в. представляет огромный интерес для понимания исторической топографии древнего Киева. Он вносит совершенно новую черту в характеристику архитектурного ансамбля центральной части Ярославова города, для реконструкции которого наша наука располагает пока еще очень недостаточным материалом.
До завершения раскопок этого интереснейшего и пока еще во многих отношениях загадочного сооружения окончательно решать вопрос о его назначении безусловно преждевременно, однако высказать предварительные соображения по этому поводу необходимо.
Приведенные выше данные показывают, как далеко от истины было поспешное заключение А.М.Тихонович и Н.Н.Ткаченко, объявивших открытую [с. 213] в 1948 г. стену «церковной оградой (разрядка наша, – М.К.)» Софийского собора [О.M.Тихонович, М.М.Ткаченко. Древній «Київ-град». Спроба відтворення плану Верхнього Києва XI-XII століття. В кн.: Архітектурні пам’ятники. Збірник наукових праць. Київ, 1950, стр. 13. См. также: Памятники архитектуры Украины. Киев, 1954, стр. 17].
С еще большей решительностью нужно отвергнуть попытку С.Я.Грабовского и Ю.С.Асеева рассматривать второй отрезок раскопанной нами в 1948 г. стены как остаток одного из «вспомогательных жилых иди дворцовых помещений, находившихся в комплексе Софии Киевской, а вместе с этим и предполагаемую ими возможность «связи этого помещения с помощью переходов с самим собором» [С.Я.Грабовський, Ю.С.Асеєв. Дослідження Софії Київської, стр. 45]. Еще раскопки 1948 г., не говоря о последующих работах, дали вполне достаточные основания для того, чтобы категорически отказаться от каких-либо предположений о принадлежности открытых фундаментов церковным или дворцовым постройкам.
Открытый в 1948 и 1950 гг. фундамент является остатком мощной крепостной стены, по-видимому, ограждавшей некогда митрополичий двор, располагавшийся в самом центре Ярославова города. Судя по данным строительной техники, постройка ее относится к первой половине XI в., т.е. перед нами сооружение, современное Софийскому собору, выстроенному князем Ярославом Мудрым в 30-х годах XI в.
Стена митрополичьего двора, строившаяся в первой половине XI в., могла быть создана митрополитом Феопемптом или же его ближайшими преемниками. Удивительно, что о существовании этой мощной крепостной стены в самом центре Ярославова города не сохранилось никаких летописных известий.
Сооружения подобного рода известны и в других городах древней Руси. Под 1089 (1090) г. в Повести временных лет занесено известие о постройке в 80-х годах XI в. переяславским митрополитом (епископом?) Ефремом «города каменного» в Переяславле.
Более полувека назад А.В.Стороженко высказывал догадку, что «каменный город», сооруженный Ефремом, представлял «каменную ограду» из кирпича или дикого камня вокруг усадьбы (разрядка наша, – М.К.), занятой церковью св. Михаила и принадлежащими к ней зданиями» [A.B.Стороженко. Очерки переяславской старины. Исследования, документы, заметки. Киев, 1900, стр. 49]. Предположение это, на наш взгляд, близко к истине, но не вполне точно сформулировано. По-видимому, Ефрем окружил крепостными каменными стенами с воротными башнями свой епископский двор, находившийся внутри земляных валов Детинца и составлявший, возможно, его значительную часть. [с. 214]
Археологическими раскопками последних лет удалось обнаружить не только небольшой отрезок стены «каменного города» митрополита Ефрема, но и одну из каменных башен этого города [М.К.Каргер. Отчет о раскопках в Переяславе-Хмельницком в 1956 г. Архив ИА АН УССР].
Напомним что почти столетием позже, в 1194 г. кн. Всеволод Юрьевич заложил во Владимире на Клязьме каменные стены Детинца [Лавр. лет. 67(32 (1194) г.], связь которого с епископским двором раскрывается последующими сообщениями летописи.
Спустя два года после закладки стены в 1196 г. владимирский епископ Иоанн поставил каменную церковь Иоакима и Анны «у Детинца на воротех» [Ник. лет. 6704 (1196) г.]. Лаврентьевская и Воскресенская летописи сообщают, что эта церковь была выстроена «на воротех святые Богородицы» [Лавр. лет. 6704 (1196) г.; Воскр. лет. под тем же годом], т.е. на воротах стены, окружавшей Успенский собор. По позднейшему житию князя Георгия Всеволодовича, епископ Иоанн заложил эту церковь «на своем дворе» [В.Доброхотов. Памятники древности во Владимире Кляземском. М., 1849 стр. 103, прим. 28; стр. 105, прим. 29. История постройки и ее значение обстоятельно выяснены в статье Н.Н.Воронина «Оборонительные сооружения Владимира XII в.» (МИА СССР, № 11, 1949, стр. 215-216 и сл.)]. Н.Н.Воронин делал из этих свидетельств справедливый вывод, что «ворота Детинца с надвратной церковью Иоакима и Анны были в то же время воротами, ведшими к епископскому собору, а следовательно, стояли где-то поблизости от него, на склоне площади от собора к городу» [Н.Н.Воронин. Оборонительные сооружения…, стр. 216]. Как известно, часть каменной стены 1194 г. и развалины упомятутой воротной башни с надвратным храмом Иоакима и Анны были действительно обнаружены на указанном месте раскопками 1936- 1937 гг. [там же, стр. 217 и сл.]
К этому же кругу памятников принадлежит и каменная стена, ограждавшая «Владычный двор» новгородского архиепископа. Возникновение стены, ограждавшей двор новгородского владыки, располагавшийся в северной половине Новгородского Детинца, относится, по-видимому, еще к древнейшему периоду истории Новгорода, но особое внимание строительству на своем дворе уделял архиепископ Евфимий. Он выстроил в 1435 г. надвратную церковь Иоанна Златоуста «у себя во дворе», упавшую в тот же час, «толко мастеры свершив сошле с церкви» [«Того же лета заложи архиепископ новгородский Еуфимий у себе во дворе церковь камену на воротех святый Иоанн Златоуст. Той осени свершиша церковь ту, только мастеры свершив сошле с церкви, в том часе церковь паде» Новг. І лет. 6943 (1435) г.]. В следующем, 1436 г. Евфимий выстроил эту надвратную церковь заново [«Того же лета архиепископ новгородский владыка Еуфимий опять сверши святаго Иоанна Златоустого в другий ряд» Новг. І лет. 6944 (1436) г.]. Изображение этой церкви и примыкающей к ней каменной стены Владычного двора сохранилось на известном «Михайловском [с. 215] плане» Детинца [П.Л.Гусев. Новгородский Детинец по изображению на иконе Михайловской церкви. СПб., 1913, стр. 33, рис. 1]. Церковь была разобрана в 70-х годах XVIII в. для постройки митрополичьих палат.
Спустя год, в 1437 г., Евфимий закладывает еще одну надвратную церковь «у себе в дворе» во имя Петра митрополита Московского [«Того же лета владыка Еуфимий заложи церковь камену свитый Петр на воротех у себе во дворе, а старую церковь порушав» Новг. I лет. 6945 (1437) г.] на месте более древней церкви того же имени, выстроенной в 1415 г. [«Того же лета совершиша церковь каменну Петра митрополита Московского и всея России чюдотворца, на вратех у святей Софии от Неревского конца, при архиепископе Иоанне» Новг. III лет. 6923 (1415) г.] Эта церковь также изображена на «Михайловском плане» Детинца [П.Л.Гусев. Новгородский Детинец…, стр. 33-34, рис. 1]. Под 1500 г. в Новгородской II летописи упоминаются, кроме того, Исповедницкие ворота, через которые архиепископ Геннадий «ходил со кресты» со своего двора к Богородицким городским воротам [Новг. II лет. 7008 (1500) г.].
О том, что все названные надвратные храмы находились не на воротах Детинца, а над вратами во Владычный двор, располагавшийся внутри Детинца, правильно догадывался еще И.Красов [И.Красов. О местоположении древнего Новгорода. Новгород, 1851, стр. 10-12].
