Нові дані про городища та фортифікаційні споруди на Західному Поділлі
Добрянський В.
Західне Поділля завдяки своєму географічному розташуванню було зоною контактів різноетнічних груп племен та народів Східної Європи. Тому розвиток населення цих земель проходив у руслі загальноєвропейської культури і цивілізації [4, с. 36-38; 5, с. 153-156]. Однак постійні війни, міжплемінні військові сутички та процес урбанізації суспільства від стародавніх часів до середньовіччя спонукали місцевих мешканців до побудови численних укріплень [17, с. 88; 18, с. 109; 14, с. 22-23].
Загалом на території регіону відомо близько 429 оборонних споруд у 258 населених пунктах. Чимало із них руйнуються через природні та антропогенні фактори, а тому вимагають охорони і надійної наукової фіксації. У наведеному нижче переліку подається інформація про обстежені автором об’єкти.
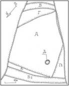
Біла І. Замок ХІV ст., відкритий автором восени 2007 р. Пам’ятка знаходиться за 1 км західніше м. Чорткова і вперше згадується в документах за 1442 р., як село Біла Велике [28, с. 378]. Городище знаходиться в лісі, на західній околиці села, в районі, що має топонімічну назву «Скалка». Розташоване на мисовому пагорбі (близько 60 м) під назвою «Малова Гора». Вона являє собою подовгастий підтрикутний вигин, крайній схил якого звужується і конусоподібно вклинюється в гирлі злиття струмка Білий або, як його ще називають, Млинок, який впадає в р. Серет (рис. 4, 1, І).
Як показали дослідження, замок має загальну довжину 100 м. Ширина в південній ділянці – 20 м (рис. 1, Б); в північній – 70 м (рис. 1, Б1). Південна частина перерізана ровом глибиною 5 м, шириною біля 15 м та довжиною 20 м. Протилежна, напільна частина городища перерізається дугоподібним ровом довжиною 70 м, шириною 15 м та глибиною 4-4,5 м. Ділянка периметру західної частини має пологий схил, а північна – підвищення, на якому знаходиться вал (рис. 1, В). У західному куті зафіксовано колодязь, що зберігся у вигляді округлої ями-западини діаметром 5 м та глибиною 1 м (рис. 1, Д). У південному куті розташована трикутна площадка, заглиблена на 1,5 м від основної частини дитинця (рис. 1, Г), аналогічну спостерігаємо в західному куті (рис. 1, Г1).
Найбільша концентрація знахідок простежується вздовж східної частини замку. Тут фіксуємо перепалені шматки глиняної обмазки та деревне вугілля. Зібрана кераміка представлена фрагментами горщиків трьох типів: 1) вузькошийковий посуд з різко профільованим трикутноподібним краєм вінця та пружкоподібним виступом всередині (рис. 2, 1); 2) вузькошийковий гостро профільований посуд з плавним переходом вінець, край якого заокруглений (рис. 2, 3); 3) тонкостінний вузькошийковий посуд з плавним переходом в трикутноподібний край вінець та гостро профільованим трикутноподібним пружком всередині (рис. 2, 2). Нижня частина дна посуду – товстостінна, а ближче до центру – тонкостінна (рис. 2, 4). Орнамент складає прямі паралельні лінії, що нанесені на плечиках (рис. 2, 4) або безпосередньо біля вінець (рис. 2, 2).
Із знарядь праці в південній ділянці городища за випадкових обставин знайдено масивний серп довжиною 43 см, який має стержень довжиною 12,5 см; ширина леза біля основи становить 3,2 см, в середній частині – 2,7 см та 2,2 см – у верхній частині (рис. 2, 1). Товщина цього серпа біля основи сягає 0,5 см, всередині – 0,3 см.
Тут же зібрана колекція кованих цвяхів. Їх можна розділити на два типи: 1) великі масивні цвяхи типу вухналів, загальна довжина яких 10,7 см, ширина – 0,9 см, товщина – 0,5 см (рис. 3, 2); 9,3×0,6×0,5 см (рис. 3, 3); 10,5×0,8×0,3 см (рис. 3, 4); 10,7×0,7×0,5 см (рис. 3, 5); 2) цвяхи типу вухналів довжиною 8 см, шириною – 0,3 см, товщиною – 0,2 см (рис. 3, 6); 7,5×0,5×0,3 см (рис. 3, 7); 7×0,2×0,2 см (рис. 3, 8); 6,5×0,3×0,2 см (рис. 3, 9); 8×0,3×0,3 см (рис. 3, 10); 6,3×0,3×0,3 см (рис. 3, 11). Їх верхня частина має скручену в трубочку голівку (рис. 3, 6, 8, 9), в інших випадках – вони ледь помітні (рис. 3, 10, 11) або відсутні (рис. 3, 7). Цей тип цвяхів призначався для закріплення гонтового покриття даху.
На прикладі цієї пам’ятки можна констатувати, що такий тип оборонної фортифікації набуває рис замку. Цей період знаменується поширенням вогнепальної зброї та розвитком артилерії. Відповідно, в цих умовах змінюється планування та архітектура фортифікацій. У результаті обстежень встановлено, що замок розташований в вигідному екоприродному ландшафті на одній із домінуючих висот населеного пункту. Фортифікаційні лінії оборони спроектовані із вдалим використанням природного рельєфу місцевості.
Східна та північна ділянки пагорба мають круті важкодоступні схили, які забезпечували надійну обороноздатність у час військової сутички. З південної та напільної сторони городище перерізане глибоким ровом (рис. 1, Б, Б1). Цей рів в північній ділянці додатково досипаний валом (рис. 1, В). Хоча південно-західна та західна частини пагорба мають пологі схили, але вони, очевидно, були обведені дерев’яним частоколом. Тут же, можливо, знаходилася центральна садиба. У сукупності це була перша лінія оборони.
У другу лінію оборони входили майданчики в південній (рис. 1, Г) та західні (рис. 1, Г1) ділянці, що були прототипом куртин. Їх зовнішня частина частоколу була протохизмою до всієї обводової ділянки першої лінії оборони. Вона забезпечувала кращу обороноздатність у разі небезпеки. Звідси вівся не лише фасовий вогонь по ворогу, але й фланкуючий. У час військової сутички, коли ділянки Г та Г1 противник зумів захопити, оборона проводилася з дитинця (рис. 1, А). Додатково підсилювався цей вогонь з фланків центральної садиби у південно-західній ділянці [6; 7; 10, с. 48-49; 10; 11, с. 270-274].
На сьогоднішній час це єдина вціліла досі та добре збережена фортифікаційна пам’ятка XIV ст. на Західному Поділлі, яка має важливе значення для подальших археологічних досліджень. Адже інші пам’ятки, що досліджувалися, мають різні хронологічні горизонти та нашарування. Наприклад, на Східному Поділлі – Меджибіж [25, с. 355-367], на Волині – в сс. Мельниця та Нові Кошари Ковельського р-ну, с. Городок Маневицького р-ну [15, с. 137-150; 16, с. 13-15], на Буковині – в сс. Грозинці та Василів [26, с. 7-8; 2, с. 85-86], у Хотинській фортеці [22, с. 96].
На початку 90-х років ХХ ст. автором досліджувався правий берег р. Серет, що північніше с. Біла [5]. Увагу привернуло повідомлення В. Пшибиславського про три городища [31, с. 22]. Л. Махновець висунув припущення, що тут знаходився літописний Моклеков, помилково вказавши на їх розташування на правому березі р. Серет [19, с. 559].
У 1989-1990-х рр. обстеження автора показали, що городища Біла ІІ (рис. 4, 1, ІІ) в уроч. Монастирище за наявністю виявлених артефактів відноситься до культури Лука-Райковецька та давньоруського часу (ХІІ-ХІІІ ст.).
Біла ІІІ (рис. 4, 1, ІІІ, рис. 4, 2) (знаходиться неподалік попереднього) за відсутності культурного шару може кваліфікуватися, як городище-сховище [7; 8, с. 50]. Ідентифікувати його поки що складно, адже аналогічні городища почали зводитися ще в ранньозалізному часі, наприклад, в Коростуватій, Білій, Нижніх Станівцях, Білоусівці, що на Буковині [26, с. 33-34].
Рис. 4. Карта розташування городищ (1) та план городища Біла ІІІ (2) і фортифікаційної споруди Біла VІ (3).
Біла ІV (рис. 4, 1, IV), як вказував В. Пшибиславський, знаходиться на протилежному лівому схилі струмка в уроч. Чарна [31, с. 22]. Результати наших обстежень на основі зібраного матеріалу показали, що воно відноситься до культури Лука-Райковецька і давньоруського часу (ХІІ-ХІІІ ст.). Очевидно, що частина валів могла бути споруджена в ранньозалізний час. Тут знайдено крем’яний відщеп зі слідами ретуші, характерної для доби бронзи – раннього заліза.
У 1992 р. на розі схилів лівого берега струмка, що впадає в р. Серет, та дороги Біла – Скородинці виявлене досі невідоме городище Біла V (рис. 4, 1, V) (уроч. Замкова гора), на якому зібрано артефакти давньоруського часу (ХІІ-ХІІІ ст.). У 2006 р. на городищах Біла ІІ, ІV та V проводилися розкопки Р. Миською та Я. Погоральським [21, c. 211-218].
Між городищами Біла ІV та V автором у 1992 р. виявлено невідому досі фортифікаційну споруду Біла VІ (рис. 4, 1, VI, рис. 4, 3). Пам’ятка розташована на пологому схилі лівого берега струмка, що впадає в р. Серет. Вона за формою чотирикутна, бічні грані мають довжину 50 м, ширину – 30 м, насипані вали шириною 1,5 м та висотою 1 м.
Інша фортифікаційна споруда, у вигляді рову та насипаного валу, випадково виявлена у 2012 р. при дослідженні кургану скіфського часу, відкритого автором у 2010 р. На топографічній карті вона позначена як покажчик висоти 330,5 м нрм (за балтійською системою висот) [3]. Ця захисна лінія оборони знаходиться за 1,5 км на північний захід від с. Хом’яківка (підпорядковане Нагірянській сільській раді), на підвищенні у лісосмузі в уроч. За Грушкою або Перша Посадка (рис. 5). Лісосмуга навпіл перерізана залізничною колією з південного сходу на північний захід глибиною 1,5-2,5 м. Вона тягнеться вздовж залізничної колії на 400 м. Ширина лівої ділянки посадки становить 80 м, посередині якої проходить грунтова дорога. Права сторона має 120 м, що навпіл розділена широкою смугою (20 м) поля.
При обстеженні встановлено, що вал знаходиться в північнозахідному куті лісопосадки та 250 м на захід до кургану. За орієнтиром рів тягнеться з заходу на схід. На ділянці А має протяжність 60 м, ширина рову сягає 15 метрів, глибина в різних частинах – від 0,3-0,5 м. Найкраще збережений в ділянці Б протяжністю 60 м. Його ширина становить 15 м, глибина – 1 м. Вал має ширину 7-8 м, висоту – 0,7-0,8 м.
На протилежній, правій стороні ділянки В рів тягнеться близько 60 м, але він слабо помітний, а також погано простежується вал. Максимальна глибина рову 0,3 м, ширина – до 15 м. На ділянці поля шириною 20 м він повністю знівельований. У ділянці Г можна спостерігати лише незначні його контури.
У такому випадку збережена частина цієї лінії оборони сягає до 200 м. Як показали спостереження на місцевості, свій початок лінія оборони бере з лівого берега р. Дупа і тягнеться в сторону с. Хом’яківка до крутих схилів правого берега р. Черкаска. У межиріччі цих річок місцевість пересічна і прорізана глибокими ярами, над якими є підвищення. Паралельно цим природним заглибленням і проходила лінія оборони.
На початку 1990-х років автором проводилося археологічне обстеження старожитностей в басейні р. Нічлава, зокрема в околицях с. Шманьківці. У селі виявлено низку старожитностей трипільської, голіградської культур, скіфського часу, черняхівської та давньоруської культури.
На лівому березі р. Нічлава у 1995 р. привернув увагу пагорб (г. Замкова). Як показали обстеження, тут знаходився дерев’яний замок XVII ст. Він розташований у східній околиці села на розі подовгастого мисового схилу висотою 10-15 м. Західна та північно-східна частина замку обмежена крутими важкодоступними схилами. З цієї сторони р. Нічлава утворює безліч рукавів та заплав, які у цьому районі дуже заболочені (рис. 6).
Замок має п’ятикутноподібну форму, у західній частині біля 60 м мав похилий схил (до недавнього часу тут існував діючий кар’єр). Звідси північний ріг мису повертає на 30 м на схід, потім на 30 м борт пагорба звертає на південний схід. У східній частині замку насипаний вал. Збережена на сьогодні його висота сягає біля 1 м, а його ширина становить до 5 м. У внутрішній частині дитинця цей вал пологий, тобто це була аппарель, що призначалася, аби було зручніше і легше витягувати гармати на верхню частину насипу. Із фланкуючого боку цей насип зараз ескарпований. Як встановили обстеження, із плином часу земля в цій ділянці поступово осунулася вниз. Але в XVII ст. ця частина була контрескарпована.
Нижче рівня валу, на глибині до 1 м знаходиться трикутноподібна площадка, яка є равеліном. Її дві бічні грані сягають довжини 30 м (рис 6, Г). Вниз по схилу, з півнінічно-західного кута равеліна, проходить теналь, що конусоподібно звужується вниз до заболоченої місцевості (рис. 6, Г1). Ця оборонна смуга до 1 м заглиблена в делювієвий схил мису. Зі сторони фронту на деяких ділянках ще простежується насипаний зверху бруствер.
Зі сторони передполя насипаний вал (рис. 6, В), який має довжину до 100 м і з’єднується біля равеліна з другим, підвищеним валом з аппареллю та контрескарпом в східній частині замку. В деяких місцях цей вал сягає висоти 0,50-0,70 м. Перед валом на поверхні грунту простежується прокопаний рів (рис. 6, Б), але він сильно знівельований не лише часом, але і глибокою оранкою (до початку 90-х років ХХ ст. тут знаходилося орне поле). Можливо, що у цій фасовій частині перед еспланадою були додаткові оборонні фортифікаційні споруди, але їх вже простежити неможливо.
Західна частина пагорба зруйнована кар’єром. У стінці цього урвища, на глибині до 0,5 м знайдено прошарки попелу та деревного вугілля, у культурному шарі – кераміку ХVІІ ст. (фрагменти горщиків із темно-коричневою та чорною поверхнею; полив’яний посуд зеленого, жовтого і коричневого відтінків). Тут же знайдено полив’яні кахлі, фрагменти віконного скла, мідну боратинку, свинцеву кулю. Зі спогадів старожилів села, тут також траплялися срібні та мідні монети, різні предмети із заліза. Можливо, саме в цій зруйнованій ділянці пам’ятки знаходився палац власника замку та господарські споруди [9].
Писемні джерела не дають інформації про дану пам’ятку. Разом із тим, Ульріх фон Вердума (1632-1681), який у 1670-1672 рр. подорожував Західною Україною та Поділлям занотував, що: «Через зарослі кущами і кам’янисті гори… через урожайну рівнину», за дві милі дістався до Черніховець, де зустрівся із польською армією. Він пише, що Черняхів: «Є село з замком, яке кілька днів тому, після тривалої оборони, татари взяли штурмом і вбили всіх людей, не пошкодувавши жінок і дітей, які там переховувалися. Наші люди бачили їх тіла, які були ще непохованими» [30, с. 137]. Можливо, що саме із цим поселенням варто пов’язувати обстежену пам’ятку, яка в той час могла мати іншу назву. Подібного типу замки існували і в інших місцевостях Західного Поділля (Городок, Пробіжна, Улашківці, Ягільниця) [13, с. 11-13; 29, с. 49-52].
Таким чином, нововиявлені пам’ятки доповнюють наші знання про археологічні старожитності регіону та дозволяють отримати нову інформацію про минуле Західного Поділля в різні історичні періоди.
Література
1. Бандрівський М. Степ Панталиха на Тернопільському плато – незаселена територія («нічийна земля» – ?) між ареалами ранньої висоцької і голіградської культур // Тернопіль і Тернопілля в історії та культурі України і світу (від найдавніших часів до сьогодення): Матер. міжнар. наук.-практ. конф. – Тернопіль: ТНПУ ім. В. Гнатюка, 2012. – Ч. І. – С. 17-19.
2. Винокур І.С. Тимощук Б.О. Давні слов’яни на Дністрі. – Ужгород: Карпати, 1977. – 110 с.
3. Генеральный штаб. Толстое. М–35-112. Состояние местности на 1982 г. Издание 1985 г. М: 1:100000.
4. Добрянський В. Збруцький ідол: яничарство і християнство. Мандрівка в минуле // Тернопіль. – 1996. – № 4-5. – С. 36-38.
5. Добрянський В. Збруцький ідол. Погляд крізь призму років // Золота Пектораль. – 2011. – № 1-2. – С. 153-156.
6. Добрянський В. В пошуках історичного Маклекова // Слово краю. – № 9. – 6 квітня 2012 р.
7. Добрянський В. В пошуках історичного Маклекова // Слово краю. – № 10. – 13 квітня 2012 р.
8. Добрянський В.К. Нові відкриття городищ XIV та XVII ст. і фортифікаційних споруд на Західному Поділлі // Замковий туризм Тернопільської області: проблеми і перспективи розвитку: Матер. Міжнар. наук.-практ. конф. – Тернопіль: ТНПУ, 2012 – С. 47-52.
9. Добрянський В. Дерев’яний замок у Шманьківцях «родом» з XVII століття // Голос народу. – № 52 (8442). – 20 грудня 2013 р.
10. Добрянський В. Там, на кручах тихоплинного Серету // Голос народу. – № 3 (8485). – 17 січня 2014 р.
11. Добрянський В. Археологічне дослідження городища XIV ст. з с. Біла на Тернопільщині // Науковий Вісник Національного університету «Львівська політехніка». Серія: Держава та Армія. – 2014 – № 784. – С. 270-274.
12. Добрянський В. Тюркська шабля XII-XIII ст. з с. Ягільниця // Україна в контексті Європейської історії: Матер. Всеукр. наук.-практ. конф. – Тернопіль: ТНПУ ім. В. Гнатюка, 2014. – С. 68-73.
13. Добрянський В. Геоприродне оточуюче середовище Західного Поділля і особливості побудови Збаразького та інших замків у XVII ст. до нових умов стратегії і тактики війни // Битва під Збаражем – важливий етап Національновизвольної революції українського народу XVII ст.: Тези доп. наук.-практ. конф. – Збараж: НЗЗТ, 2014. – С. 11-13.
14. Кучера М.П. Троянові вали Середнього Подністров’я // Тези доповідей і повідомлень І-ої Тернопільської обласної історико-краєзнавчої конференції. – Тернопіль, 1990 – Ч. ІІ. – С. 22-23.
15. Кучинко М. Динаміка розвитку селищ Західної Волині, Холмщини і Підляшшя в Х – середині ХІV ст. // АДЛУ. – 2002. – Вип. 5. – С. 137-150.
16. Кучинко М. Середньовічні міста Волинського Полісся, як оборонні та адміністративні центри регіону // Середньовічні оборонні споруди Волині. – Кременець, 2006. – С. 7-16.
17. Малеев Ю.Н. Гальштатские городища в Западной Подолии и Прикарпатье // Межплеменные связи эпохи бронзы на территории Украины. – К.: Наукова думка, 1987. – С. 86-101.
18. Малєєв Ю. Дослідження передскіфського періоду Тернопілля Київським університетом // Археологія Тернопільщини. – Тернопіль: Джура, 2003. – С. 109-120.
19. Махновець Л.Є. Іменно-особовий та географічно-археологічний покажчик. Коментарі // Літопис Руський. – К.: Веселка, 1990. – С. 465-580.
20. Мацюк О.Я. Замки і фортеці Тернопільщини від найдавніших часів до ХVІІІ ст. // Тези доповідей і повідомлень І-ої Тернопільської обласної наукової історикокраєзнавчої конференції. – Тернопіль, 1990. – Ч. ІІ. – С. 22-23.
21. Миська Р.Г., Погоральський Я.В. Дослідження городищ поблизу с. Біла на Чортківщині // АДІУ. – 2010. – Вип. 2: Археологія Правобережної України. – С. 211-218.
22. Мисько Ю. З історії Хотинської фортеці // ПССІАЕ. – 2011. – Т. 2. – С. 92-105.
23. Підставка Р. Новий Збараж: до питання історії виникнення, вивчення, топоніміки та клонів // Тернопіль і Тернопілля в історії та культурі України і світу (від найдавніших часів до сьогодення): Матер. Міжнар. наук.-практ. конф. – Тернопіль: ТНПУ ім. В. Гнатюка, 2012. – Ч. І. – С. 45-47.
24. Природа Тернопільської області. – Львів: Вища школа, 1979. – 169 с.
25. Толкачев Ю.І. Меджибіж і археологічні дослідження, підсумки та перспективи // Проблеми археології Середнього Подніпровя. – Київ-Фастів: ФДКМ, 2005. – С. 355-367.
26. Тимощук Б.О. Слов’янські гради Північної Буковини. – Ужгород: Карпати, 1975 – 111 с.
27. Тищенко К.М. Іншомовні топоніми України. Етимологічний словник-довідник. – Тернопіль: Мандрівець, 2010. – 240 с.
28. Історія міст і сіл УРСР. Тернопільська обл. – Київ: Гол. ред. УРЕ АН УРСР, 1973. – 570 с.
29. Яковлев В.В. История крепостей. – М.-СПб., 2000. – 400 с.
30. Liske X. Cudzozeiemcy w Polsce. – Lwow, 1876. – 174 s.
31. Przybyslawskj W. Rep
Опубліковано: Добрянський В., Нові дані про городища та фортифікаційні споруди на Західному Поділлі. – Археологічні студії (Чернівці-Київ), 2014 р., вип. 5, с. 354 – 364.
