6. Изучение состава металлических изделий
Л.В.Демченко, В.И.Клочко, В.И.Маничев
Из находок, отобранных в культурном слое Суботовского городища, исследованы 15 предметов из металла, среди которых можно выделить изделия функционального назначения (например, украшения, булавки) и неопределенного назначения (пластинки, обломок, слиток), указанные в перечне (табл. 2).
Состав металла определялся с применением различных физических методов исследований : полуколичественного эмиссионного спектрального анализа, выполненного на спектрографе СТЭ-1; методом рентгеновской дифрактометрии на установке ДРОН-УМ-1, рентгеноспектральным анализом (флуоресцентный спектрометр VРА-30); микрозондовым рентгеновским анализом (микроанализатор рентгеновский JХА-5) (табл. 3).
Спектральный состав металла приведен в табл. 2. Сопоставление и анализ полученных данных показывает, что все металлические предметы состоят из мышьяковистой меди с содержанием мышьяка более 1%. Высокое содержание олова (более 1%) в большинстве изделий свидетельствует о том, что их можно отнести к группе оловянистых бронз. В образцах изделий присутствует примесь свинца.
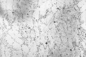
Рентгеновская порошковая дифрактометрия некоторых образцов металлических изделий, отобранных по характеру содержания примесных добавок к меди, дифрактограммы которых показаны на рис. 6, дает возможность выяснить фазовый состав металла. Дифрактометрия двух образцов чистой меди, один из которых взят из коллекции находок другого археологического объекта (рис. 6, с,d), показывает наличие трех четких рентгеновских рефлексов, типичных для меди. Дифракционная картина изменяется при наличии в меди значительного содержания мышьяка (рис. 6, b), интенсивность рентгеновских пиков уменьшается, а угловое положение их остается прежним, что характеризует кубическую структуру твердого раствора мышьяка в меди.
Присутствие железа и никеля в сплавах может быть отнесено к естественным примесям, поскольку их искусственные добавки в качестве легирующих компонентов значительно повысили бы температуру плавления основного металла – меди. Содержание сурьмы в ряде образцов медных изделий также повышено и превышает 1%. Мышьяк, как и сурьма, типичен для некоторых установленных нами минералов меди и руд в целом, а потому в медных изделиях они также могут быть естественными компонентами (см. табл. 2 : мышьяка в рудной породе 0.25%, сурьма присутствует в самородной меди в количестве более 1%). Более того, можно предположить, что в незатронутых термической обработкой медистых песчаниках, образцами которых мы пока не располагаем, содержание мышьяка, сурьмы и висмута могло быть значительно больше.
Если следовать ранее принятой классификации [Черных 1967; 1976], то по данным спектральных анализов металл изученных нами изделий следует отнести к сплавам, причем к группе мышьяковисто-оловянисто-сурьмяной бронзы.
Подобный состав бронз, в котором более 1% мышьяка, олова и сурьмы (с примесью свинца), образуют некую смешанную группу, включающую две из трех групп бронз, выделенных Е.Н. Черных [1976].
Детальное исследование образца № 13 позволило установить, что он является самородной медью, применяемой как рудное сырье. Доводы в пользу этого утверждения следующие :
1. Морфология данного слитка весьма характерна для самородной меди осадочного генезиса.
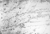
2. На поверхности образца наблюдается развитие минералов, типичных для зоны окисления. Оптическая минералогия позволяет видеть активную коррозию меди купритом и малахитом, причем куприт развивается по меди в виде бухтообразных участков (рис. 7, а, b, с). Различного размера включения куприта наблюдаются не только по периферийной части, но и в других участках металла. Кроме куприта и малахита, в меньшем количестве отмечаются и такие минералы как ковеллин и хризоколла. Подобная степень окисления, при которой образуется широкий набор медьсодержащих минералов, отсутствует в медных или бронзовых изделиях, за исключением тонкого налета малахита.
Рис. 7. Микроструктура техногенной меди (энеолитический литой молоток из Глыбочка)
|
|
|
|
| Рис. 7a. Структура наклепаного слоя | Рис. 7b. Структура приповерхностного слоя поперечного сечения молотка | Рис. 7c. Структура центральной части поперечного сечения (x70) |
3. Применение металлографического метода исследования показало отличие в структурах металлов самородной меди и медного изделия, взятого нами из другого археологического объекта (поскольку в данном раскопе не было найдено изделий из чистой меди) для проведения сравнительного анализа. Металлографический метод дает возможность оценить характер микроструктуры металла, ее неоднородность, плотность дефектов внутри зерна, характер построения границ зерен, выявить включения, наличие вторичных фаз и их распределение в объеме металла. Исследование микроструктур проводилось на шлифованной поверхности самородной меди и металлического изделия (медного энеолитического топора-молота), причем поверхность молотка изучалась на двух взаимноперпендикулярных сечениях. Характер структуры образцов приведен на снимках, сделанных на микроскопе МИМ-7 (рис. 7, 8). Характерная особенность проявления микроструктуры этих образцов меди заключается в том, что дефектная структура (границы зерен, выходы дислокаций на поверхность) декорируется окисью меди, которая образуется в местах локализации неоднородной структуры. В процессе кристаллизации из расплава, что наблюдается при исследовании молотка (рис. 8), образуется поликристаллическая структура. Границы кристаллитов, обладая различными коэффициентами захвата примесей, включений, представляют собой области макронеоднородностей, где при соответствующих условиях в первую очередь начинаются процессы окисления. По границам зерен наблюдается развитие трещин, что является началом усталостного разрушения структуры металла, вследствие циклических нагрузок в процессе работы молотком. Длинные вытянутые зерна образуют текстуру в той части молотка, которая подвергалась ударным нагрузкам (рис. 7, а), что свидетельствует о том, что поверхность молотка была подвержена деформационному наклепу (ковке), необходимой для упрочения металла. В центральной части поперечного сечения молотка (рис. 7, b, с) структура зерен более равноосна.
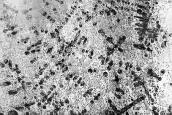
Рис. 8. Микроструктура самородной меди из Суботова
|
|
|
|
| Рис. 8a. Макровключения кристаллов куприта и малахита в меди (x70) | Рис. 8b. Микровключения куприта (x70) | Рис. 8c. Микровключения куприта (x160) |
Металлографическое исследование структуры самородной меди, в отличие от изделия, показало другие особенности (рис. 8). Микроструктура неоднородна по содержанию включений, представляющих собой крупные и мелкие кристаллы куприта, малахита, которые часто проникают через всю толщу металла. Для микроструктуры характерен дендритный рост кристаллов куприта и, в основном, хаотичное распределение дислокаций внутри зерен. Такая структура типична для неравновесных процессов образования кристалла при различиях в условиях подтока вещества, в молекулярных процессах кристаллизации, имеющей место в условиях осадочно-гипергенного образования самородной меди. Таким образом, металлографическое исследование позволяет выявить микроструктурные различия в самородной и техногенной меди.
4. Спектральный состав образца № 13 свидетельствует о достаточно высокой чистоте металла (меди до 99.75%), что по современным стандартам соответствует полуфабрикату меди М3 или М2 с примесью Аs и Рb. Малое содержание примесей в самородной меди вообще характерно для меди экзогенного (низкотемпературного) происхождения, в отличие от меди эндогенной, высокотемпературной [Лазаренко 1951].
Определение химического состава рудных пород, шлаков и сопутствующих им осадочных пород, найденных на Суботовском городище, позволяет выделить определенную геохимическую специализацию, имеющую заметное сходство с металлом изделий. В рудных породах повышено содержание свинца, никеля, меди, сурьмы, мышьяка. Несколько меньше титана и висмута (табл. 1). В шлаках меньше олова, свинца, никеля, хрома, меди, фосфора, сурьмы и несколько больше цинка и титана, чем в руде.
В бурых ожелезненных песчаниках содержание свинца, никеля, титана, олова, мышьяка и сурьмы соответствует их значениям в шлаках, а такие элементы как хром и медь находятся в меньшем количестве. Таким образом, можно говорить о некоторой аналогии ассоциаций химических элементов в металлических изделиях, рудах и их шлаках даже при наличии столь ограниченного количества образцов рудного сырья (включая переработанное).
Обобщая исследование каменного материала можно сделать вывод, что рудным сырьем для производства медных и бронзовых изделий служили самородная медь и медистые песчаники. Причем в самородной меди и рудной породе отмечаются сходные ассоциации минералов меди, что позволяет отнести их к одному генетическому типу месторождения меди.
Для идентификации меднорудного сырья, найденного в раскопе Суботовского городища с известными в Украине медепроявлениями было проведено сопоставление данных по литературным источникам [Беспалов, Федоровская 1967; Грабянская и др. 1973; Лазаренко, Панов, Груба, 1975; Лазаренко, Лавриченко, Бучинская 1980; Лапчик 1937; Латыш, Вишневская 1956; Орса, Кикченко, Рябоконь 1978; Рябоконь 1983]. Ближайшие к объекту исследований месторождения (крупные проявления) меди известны в осадочных породах Донбасса, в кристаллических породах Приазовья, среднего Приднепровья, Приднестровья и Волыни. Поскольку в Суботовском археологическом объекте представлены медные руды осадочного генезиса, т.е. медистые песчаники и генетически связанные с ними ожелезненные породы типа алевролитов и аргиллитов, то сопоставление уместно лишь с Донецким, Предкарпатским и Приднестровским регионами.
На Донбассе известны более 30 медных рудопроявлений с выходами медьсодержащих пород на дневную поверхность. Причем минералы меди присутствуют в основном в алевро-песчаных породах и аргиллитах. Самородная медь отмечена лишь в некоторых точках (Бахмутская котловина). Из минералов группы меди здесь отмечаются ковеллин, малахит, азурит, халькозин, хризоколла (Берестянское рудопроявление). Куприт и ковеллин широко развиты как в Бахмутской, так и в Кальмиус-Торецкой котловинах. Сопоставляя литологию осадочных рудных пород Донбасса и найденные обломки пород в Суботовском городище можно отметить их поразительное сходство, которое заключается в следующем :
Во-первых, это наличие полосчатой и вкрапленной структур оруденения в медистых песчано-алевритовых разновидностях пород (рис. 4, а,е).
Во-вторых, как следует из литературных данных, характеризующих литологию Кальмиус-Торецкой котловины, отмечается наличие в мелкозернистых осадочных породах преобладающего, угловатой формы, терригенного кварца и в их общей массе единичных крупных катаклазированных зерен с высокой степенью окатанности и характерным волнистым угасанием (рис. 4, d). Сходство наблюдается и в характере окраски пород, особенно красно-бурых алевролитов и аргиллитов, в наличии определенных типов цементации, а также оолитов гетита и лимонита (рис. 4, b). Литолого-минералогическое сходство дополняется и ассоциациями химических элементов. Для формации медистых песчаников Донбасса типичны свинец, цинк, мышьяк, железо, фосфор, которые в различных продуктивных свитах имеют несколько различные содержания в зависимости от рудной специализации (медная, медно-свинцовая, медно-свинцово-цинковая).
В Предкарпатском регионе месторождения меди, связанные с медистыми песчаниками, известны в Делятинском и Надворнянском районах Ивано-Франковской области. Мощность их невелика и о разработке их в качестве меднорудного сырья сведения отсутствуют.
Медепроявления осадочного генезиса известны также в Приднестровье, где литологические особенности пород напоминают руды Донбасса, т.е. наибольшие содержания меди связаны с песчаными, алевритовыми и аргиллитовыми породами, обогащенными органическим веществом.
Однако, геохимические особенности руд Приднестровья и Предкарпатья заметно отличаются от Донецких, что выражается в почти полном отсутствии мышьяка (за небольшим исключением) и малом содержании сурьмы и олова, не превышающем тысячной доли процента.
Крупные месторождения меди, которые были известны в древности и активно разрабатывались, располагаются в пределах Румынии и Болгарии, что дало основание археологам включить их в медно-сырьевую провинцию, поставлявшую медь по всей восточной Европе, вплоть до Днепра. Однако, геолого-геохимическая характеристика каменного материала суботовского археологического памятника убедительно свидетельствует о донбасском источнике медного сырья.
Наряду с металлическими предметами материальной культуры, было изучено вещество литейных форм, а также проанализирован состав глин, которые могли служить сырьем для их производства. Рентгеновский фазовый анализ глин показывает наличие таких глинистых минералов, как монтмориллонит, каолинит и гидрослюда, присутствие которых обусловливает хорошие пластичные и формовочные свойства глины при изготовлении предметов, а после термической обработки обеспечивает их достаточную прочность. Сходный химический состав глин и литейных форм дает основание предполагать, что для изготовления литейных форм и посуды использовалось местное сырье.
