2. Группа образцов, характеризующих рудные породы
Л.В.Демченко, В.И.Клочко, В.И.Маничев
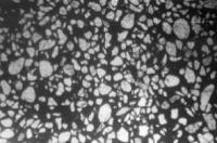
Образец № 13. Макроскопически образец представляет собой образование неправильной формы (рис. 1,а), массивное, плотное, интенсивно окисленное на поверхности. Окраска серо-зеленая. Размер образца 75×35×28 мм, общий вес 160 г.
Рис. 1. Образцы медно-рудного сырья Суботовского городища
Образец представляет собой две утолщенные пластины, как бы сросшиеся в средней части. На поверхности наблюдаются редкие каверны и небольшие трещины, а также примазки глинистого материала. В целом о натечном характере образования свидетельствует не только натековидность формы, но и образование трубочки, в которую переходит краевая часть образца, интенсивно окисленная внутри в такой же степени, как и на поверхности.
При очищении зеленоватого налета наблюдается медно-красноватая окраска металла, типичная для самородной меди. Минеральный состав исследован по различным фрагментам образца, включая непосредственно свежий излом металла, а также отдельные части окисленной поверхности. Минеральный состав определен рентгеноструктурным методом исследований, который показал наличие (рис. 2) самородной меди (основная масса), в меньшем количестве отмечается развитие куприта (Сu2О), тенорита (СuО), малахита (Сu2(СО3)(ОН)2), в незначительном количестве таких минералов, как ковеллин (СuS), хризоколла (СuSiО3×nН2О). Здесь и далее перечень рудных минералов приведен в порядке уменьшения их содержаний.
Спектральный состав образца № 13 приведен в таблице 1.
Образец № 011/СЗ. Небольшой обломок рудной породы, размер по длинной оси 10 мм. Окраска темно-серая, местами буроватая. В обломке нижняя часть выглядит в виде пластины натечного характера, верхняя – терригено-песчаная. Основная масса рудного вещества – землистая, серовато-стального цвета, в целом плотная, местами рыхлая, тонкозернистая. Среди основной массы вещества наблюдаются небольшие скопления мелких зерен самородной меди с характерной окраской, а также участки, имеющие бурый налет.
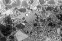
В рудной породе видны вкрапления малахита, размером 0.3 мм, голубовато-зеленой окраски, натечной формы. Они отмечены на всей поверхности образца. Местами развиты небольшие каверны с тонким налетом буроватой окраски (гидроокислы железа). В минеральном составе образца преобладают витнеит (СuАs), куприт и хризоколла, что дает основание отнести его к рудному сырью (рис. 3, а). Спектральный состав рудной породы представлен в таблице 1.
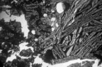
Рис. 4. Структура медистых песчаников и их шлаков (шлифы)
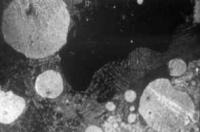
Образец № 011/ЮЗ. Два небольших обломка размером 10×5 мм и 6×4 мм, серовато-темнозеленой окраски, мелкопористые. Поверхность образцов характерна для рудной породы (развитие малахита в виде мелких глобулей), а также отмечается наличие примазок буровато-розовой окраски. Глобули малахита наблюдаются в редких неглубоких кавернах, где они имеют яркую голубовато-зеленую окраску.
Сросшиеся между собой глобули образуют небольшие скопления, что характерно для месторождений гипергенного типа. Минеральный состав этих обломков свидетельствует о наличии в них минералов меди, таких как куприт, самородная медь, малахит, витнеит, хризоколла (рис. 3,в). Спектральный состав представлен в табл. 1.
